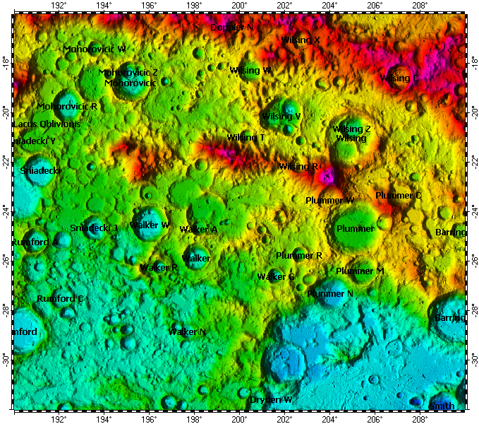
View example: LAC-105 Mohorovicic quadrangle of Moon, topography

 

LAC-105 Mohorovicic quadrangle of Moon, topography

 

  The view was rendered by Spatial Aspect Explorer, using top-level map "Moon Nomenclature", based on LOLA DEM.

 

Copyright © 2016-2023 Yuri Feldman - All Rights Reserved